Servicio Nacional de Meteorología
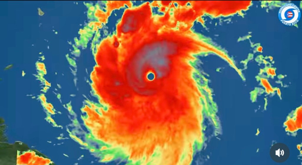
El amplio campo de humedad de Beryl, junto con algunas bandas externas, podría comenzar a afectar la mitad este de Puerto Rico y las islas más pequeñas tarde esta noche.
Hoy: Lluvias aisladas. Luego mayormente soleado, la temperatura máxima alrededor de 87 grados. Viento del este noreste de 11 a 16 mph, con ráfagas de hasta 21 mph. La probabilidad de precipitación es de un 20%.
Aunque el Huracán Intenso Beryl se moverá sobre el Mar Caribe, al sur de las islas locales, aún se esperan impactos indirectos debido a su cercanía. Las condiciones marítimas y costeras comenzarán a deteriorarse durante el día, con riesgo alto de corrientes marinas y advertencias para operadores de embarcaciones pequeñas vigentes, empeorando aún más esta noche.
En la noche: Lluvias y posiblemente tormentas eléctricas. Temperatura mínima alrededor de 79 grados. Viento del este noreste alrededor de 11 mph. La probabilidad de precipitación es de un100%. Nuevas cantidades de lluvia posibles entre 1 y 2 pulgadas.
La puesta del Sol será a las 7:03 PM
El amanecer fue a las 5:52 AM.

